City council approves property exchange
Aerial view of where Family Dollar plans to be located.
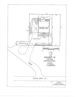
The Italy City Council voted to approve the exchange of property with Family Dollar at its monthly meeting held Monday evening in council chambers.
T.W. Howell, with Howell Land & Cattle LLC, said the Family Dollar owners are interested in purchasing the Gillespie property located at the intersection of SH 77 and Main Street near the water plant. They needed, however, city property to gain entrance to the property.
Howell told the council that they would be responsible for all fees and surveys concerning this exchange.
In other business, Dean Carrell, public works director, presented board members with three bids to make a repair at the wastewater treatment plant.
Carrell said a valve on the back side of the building is located 20’ underground. He said this was poor design construction and proposes a manhole be built which will allow workers to go down and make repairs, when needed.
Teri Murdock, city secretary/administrator, said this was an item she wanted council members to be aware of since this was not a budgeted item.
She said there is about $29,000 in the wastewater plant fund and said this project will deplete that fund.
During department reports, Diron Hill, police chief, presented the report for November. Officers issued citations for 248 moving violations and 121 non-moving violations. Officers made 12 arrests, worked 1,250 hours and reserves worked 38 hours. Officers were called to service 183 times during the month.
The animal control officer worked 107 hours, impounded two animals, picked up four animals, issued seven citations and six warnings. Hill said the code enforcement officer worked 10 hours and wrote 10 courtesy letters. He said there was 100% compliance by residents.
The fire department was called out 27 times during the month, most times to assist the emergency medical service.
The municipal court filed 312 citations from the Italy Police Department and cleared eight warrants. They sent 50 collection letters and issued 300 warrants.
Murdock said the refinancing of the 2002 obligation bond has been funded and money is in place. She said the Economic Development Committee is moving forward toward the purchase of the Boze building for a community center. The percentage rate for the property is expected to be about four percent.
Murdock said she will graduate with her city certification Jan. 19.
The council approved minutes of the Nov. 14 meeting, paid bills and approved compensatory time.
